Bytový dům Praha 4

Bytový dům Praha 4

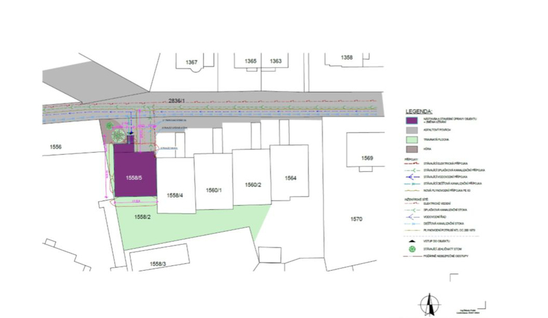
Investiční projekt bytového domu s plánovanou výstavbou devíti /9/ bytových jednotek. Jedná se o dostavbu původní dvoupodlažní budovy (původně komerční/admi­nistrativní budova v řadě stávající bytové zástavby, avšak samostatně stojící) o minimálně další dvě podlaží. Umístění budovy dle územního plánu umožnuje však i další rozšíření o další podlaží, tedy např. o další 2–4 jednotky.

Informace o projektu.

soubor PDF

Bytový dům Praha 4_nabídka_crha.pdf

Máte dotazy? Kontatujte nás: